忍者ブログ
新潟県糸魚川市能生漁港釣り船・初栄丸の釣果・日記
×

[PR]上記の広告は3ヶ月以上新規記事投稿のないブログに表示されています。新しい記事を書く事で広告が消えます。

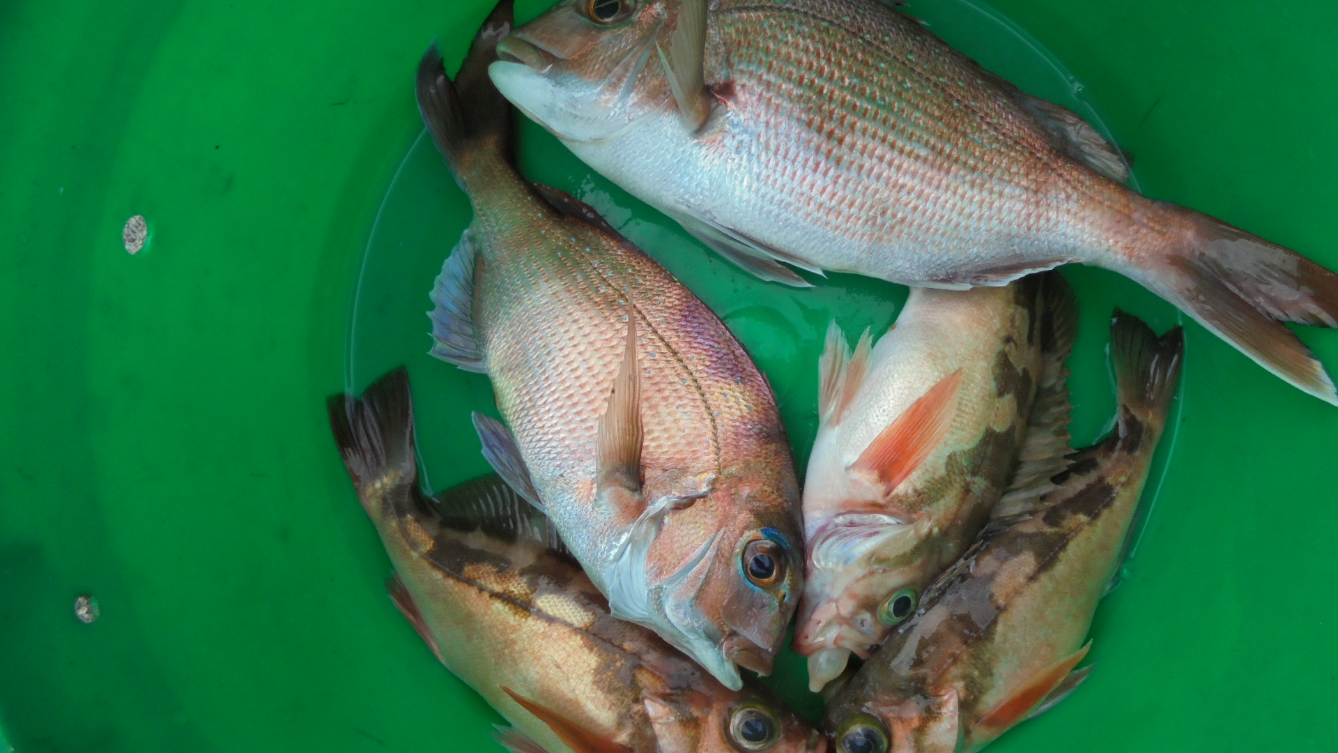
マダイ釣行・・海水温が一度上昇した・・今期のマダイで
やっとダルマに片目が入ったemoji
釣果(船中/3+1名)
マダイ0.8~1.8kg2~7尾(21尾)イナダ 4尾、
メバル 1尾、ウマヅラ 1尾、カレイ 3尾、


PR

マダイ・メバル釣行・・土・日ともイルカが大群で猛襲、
水温もまだ上昇せず・・当船はお客さんも少なく
(両日3名づつ)・・ど貧果・・なさけないemojiトホホ・・
マダイ・手の平マダイ・メバル・イナダ・カサゴ
マソイ・ウマヅラ・カレイ・・以上写真のとうり




朝便:マダイに出たがまた水温が下がっていて激シブ
マダイは顔を見たのみ・・ウマヅラばっかし
帰りには少し水温が上昇してきた・・
明日に期待しましょう。

当面のスケジュール
ご希望のご予約は随時お受けいたしますから、まずはお電話ください。
釣り座はご予約の順で決めさせていただいておりますので
釣り座にご希望がある方はお早めに予約をお願いします。

釣り状況・海況により変更があります・・・

空席は
月3日現在です 
朝便:AM6:00~13:30(5:30集合)
夜便PM15:00~22:00(14:00集合) 

予約受付中・・・早い予約の希望釣魚で決まります
*決まり次第掲載します*
マダラ釣行は8名まで・・3名以上で出船します
夜便(青物回遊のきざしがあるまで控えます)

 3月12日(土)朝便:マダイ他(空5)
   13日(日)朝便:マダイ(空6)
   14日(月)朝便:マダイ(空7)
   15日(火)朝便:マダイ
   16日(水)朝便:マダイ
   17日(木)朝便:マダイ(空8)
   18日(金)朝便:マダイ
   19日(土)朝便:マダイ(空6)
   20日(日)朝便:マダイ(空4)
   21日(月)朝便:マダイ(空7)
   22日(火)朝便:予約受付中
   23日(水)朝便:予約受付中
   24日(木)朝便:予約受付中
   25日(金)朝便:予約受付中
   26日(土)朝便:予約受付中
   27日(日)朝便:マダイ(空2)
   28日(月)朝便:予約受付中
   29日(火)朝便:予約受付中
   30日(水)朝便:予約受付中
   31日(木)朝便:予約受付中

 3月は休業日はナシです
 
 4月1日以降は次回掲示いたします。


 
まずはお電話ください・・森川 090-7181-6315








本日は出船しました・・波予報は読みきれず・・
産後のタラの気持ちも分からず・・あげくに早上がり・
まったくお粗末な釣行をしてしまいました。
結果を報告するまでもなく・・反省するのみ、
ごめんなさいemoji

今日はお客さん揃わず中止にしたが、海が静かなので
ダブル船長でまかない釣行に出た・・
釣果(2人)
ワラサ 6尾、イナダ 1尾、レンコダイ 1尾、
沖メバル 1尾、手の平マダイ 1尾、


底物五目釣行・・今日は海は釣堀みたいに静か・・
潮も動かず静か・・魚も静か・・
まったく食い気がなく大苦戦!!
釣果(船中/5+1名)
オニカサゴ 4尾、沖メバル大 5尾、
カレイ 5尾、マトオダイ 1尾、
ウッカリカサゴ 1尾、


お客さんの希望で底物を中心にチャレンジした・・
後半2時間程マダイを狙ったが渋かった。
釣果(船中/9+1名)
オニカサゴ 10尾、ウッカリカサゴ 4尾
マダイ 0.8~2.0kg 7尾、沖メバル 3尾、
レンコダイ 2尾、カレイ 4尾、ウマヅラ 1尾、



荒天がよく続いたね~~4日(金曜日)から出られそうです



当面のスケジュール

ご希望のご予約は随時お受けいたしますから、まずはお電話ください。
釣り座はご予約の順で決めさせていただいておりますので
釣り座にご希望がある方はお早めに予約をお願いします。

釣り状況・海況により変更があります・・・

空席は
月3日現在です 
朝便:AM6:15~13:30(6:00集合)
夜便PM15:00~22:00(14:00集合) 

予約受付中・・・早い予約の希望釣魚で決まります
*決まり次第掲載します*
マダラ釣行は8名まで・・3名以上で出船します
夜便(青物回遊のきざしがあるまで控えます)

  3月 4日(金)朝便:お客さん揃わず・・・
    5日(土)朝便:底物五目・マダイ(空2)
    6日(日)朝便:底物五目・マダイ(空6)
    7日(月)朝便:マダイ・底物五目
    8日(火)朝便:マダイ・底物五目
    9日(水)朝便:まだら予定
   10日(木)朝便:マダイ・底物五目
   11日(金)予約受付中
   12日(土)予約受付中
   13日(日)予約受付中
   14日(月)朝便:マダイ(空7)
   15日(火)予約受付中
   16日(水)予約受付中
   17日(木)予約受付中
   18日(金)予約受付中
   19日(土)予約受付中
   20日(日)朝便:マダイ(空8)
 
 3月は休業日はナシです
 
 3月21日以降は次回掲示いたします。


 
まずはお電話ください・・森川 090-7181-6315






朝便:マダイ~中深場五目・・朝一のマダイは絶不調、
水温がまだ低いのかな?、日が高くなってからの方が
良いのかも・・・とにかく辛抱できない・・・
やむなく中深場で五目釣りにチェンジした。
釣果(船中/1+1名)
イサキ 1尾、オニカサゴ 1尾、フサカサゴ 5尾、
メバル 1尾、カレイ 1尾、アマダイ 1尾、
レンコダイ 1尾、


 

朝便:根魚五目・・どこに行っても食いの渋い日だった。
釣果(船中/3名)
オニカサゴ 4尾、ウッカリカサゴ 3尾、
アマダイ 2尾、カレイ 6尾、
カナガシラ 2尾、ウマヅラ 5尾、


カレンダー
03 2026/04 05
S M T W T F S
1 2 3 4
5 6 7 8 9 10 11
12 13 14 15 16 17 18
19 20 21 22 23 24 25
26 27 28 29 30
↓初栄丸携帯サイト↓

カウンター
↓初栄丸釣果QR↓
気象情報
ブログ内検索
忍者ブログ [PR]