初栄丸釣果
新潟県糸魚川市能生漁港釣り船・初栄丸の釣果・日記
[PR]
×
[PR]上記の広告は3ヶ月以上新規記事投稿のないブログに表示されています。新しい記事を書く事で広告が消えます。
2026/04/26 (Sun)
28.05.25
23日夜便:マダイ・ヒラメ釣行・・
釣果(船中/5+1名)
マダイ 15尾、イナワラ 17尾、
ヒラメ 3尾、アジ大 1尾、
25日朝便:マダイ釣行・・肌寒い曇天なのか活性が今一だった
釣果(船中/5名)
マダイ 2~9尾 24尾、メジナ 1尾、イナワラ 多数、
PR
2016/05/25 (Wed)
釣果
Comment(0)
28.05.23
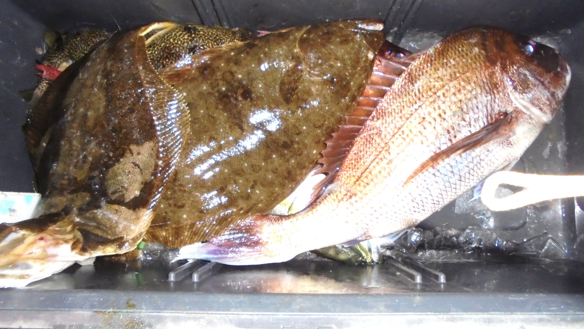
22日夜便:マダイ・ヒラメ釣行・・・
釣果(船中/9+1名)
マダイ 12尾、ヒラメ 7尾、イナワラ 8尾
ソイ 2尾、キジハタ 1尾、
23日朝便:マダイ釣行・・すばらしい釣り日和だった。
まさに乗っ込みです・・2~5kg級がクーラーからはみ出し
釣果(船中/6名)
マダイ 6人の個々の成績・・4、5、11、15、18、20尾
イナダ 2尾、ショウサイフグ 1尾、
2016/05/23 (Mon)
釣果
Comment(0)
28.05.22
21日夜便:マダイ・ヒラメ釣行・・
釣果(船中/10名)
マダイ 24尾、ヒラメ 5尾、イナワラ 13尾、
22日:朝便・マダイ釣行・・イナワラの方が多かった。
釣果(船中/6名)
マダイ 2~5尾、イナワラ 多数(クーラー満タン)
イシダイ 1尾、マハタ 1尾、ショウサイフグ 8尾、
当面のスケジュール
ご希望のご予約は随時お受けいたしますから、まずはお電話ください。
釣り座はご予約の順で決めさせていただいておりますので
釣り座にご希望がある方はお早めに予約をお願いします。
釣り状況・海況により変更があります・・・
空席は
5
月22日
現在です
朝便:AM4:30
~13:00(4:00集合)
夜便
:
PM
15:00
~22:00(14:30集合)
予約受付中・・・早い予約の希望釣魚で決まります
*
*決まり次第掲載します*
マダラ釣行は8名まで・・3名以上で出船します
夜便ヒラメ釣行は10名まで・・2名以上で出船します
5月23日(月)朝便:マダイ(空4)
夜便:
マダイ・ヒラメ(空5)
24日(火)
休業日
25日(水)朝便:マダイ(空8)
夜便
:マダイ・ヒラメ(空4)
26日(木)朝便:マダイ(空10)
夜便
:マダイ・ヒラメ(空7)
27日(金)朝便:マダイ(空10)
夜便
:マダイ・ヒラメ(空5)
28日(土)朝便:マダイ(空3)
夜便
:マダイ・ヒラメ(空5)
29日(日)朝便:マダイ(満席)
夜便
:マダイ・ヒラメ(空10)
30日(月)朝便:
まだら
(満席)
夜便
:マダイ・ヒラメ(空10)
31日(火)朝便:マダイ(空9)
夜便
:マダイ・ヒラメ(空7)
6月 1日(水)朝便:予約受付中
夜便
:予約受付中
予約状況:6/ 4(土)朝便:マダイ(空2)
6/ 5(日)
夜便
:マダイ・ヒラメ(空5)
6/ 6(月)朝便:マダイ(空6)
6/11(土)朝便:マダイ(満席)
6/11(土)
夜便
:
ムギイカ
(空3)
6/26(日)朝便:
まだら
(空3)
6月の休業日は7(火)と21日(火)です。
まずはお電話ください・・・森川 090-7181-6315
2016/05/22 (Sun)
釣果
Comment(0)
28.05.21
名立沖のマダイは乗っ込みです
20日夜便:マダイ・ヒラメ釣行・・
釣果(船中/5+1名)
マダイ 15尾、ワラサ~イナワラ 23尾、
ヒラメ 5尾、マゴチ 1尾、キジハタ 1尾、
21日朝便:マダイ釣行・・朝より日が高くなってから
の方が食いが良かった・・ゴールデンタイムに時間となりました。
釣果(船中/11名)
マダイ 1.5~5.1kg 2~7尾 約45尾、イナワラ 多数、
ショウサイフグ 数匹
2016/05/21 (Sat)
釣果
Comment(0)
28.05.20
19日夜便:マダイ・ヒラメ釣行・・マダイは不調でした。
釣果(船中/7名)
マダイ 1尾、ヒラメ 12尾、ワラサ 10尾、ソイ 3尾、
20日朝便:メバル釣行・・沖で沖メバルにチャレンジ・・
どこのポイントも一投目にパラパラと釣れたが、二投目になると
ワラサがワルサしてしまいハリスをプッツリばかり・・
釣果(船中/3名)
メバル 5~20尾(形は良い)ワラサ 11尾、
キクカレイ 18尾、
2016/05/20 (Fri)
釣果
Comment(0)
28.05.19
18日夜便:マダイ~ヒラメ釣行・・マダイは夕方の方が
良く釣れた・・
釣果(船中/5+1名)
マダイ 2~3kg 9尾、ヒラメ 2.5~6.0kg 8尾、
ワラサ 3尾、ソイ 1尾、
19日朝便:マダイ釣行・・潮が動かず・・苦戦・・
結局お土産釣りに奔走・・なんとかオデコはいなくなった、ホッ!
釣果(船中/8名)
マダイ 2.5 4.8kg 2尾、ワラサ 8尾、イナワラ 1尾、
アジ 3尾、メジナ 1尾、手の平タイ 4尾、
当面のスケジュール
ご希望のご予約は随時お受けいたしますから、まずはお電話ください。
釣り座はご予約の順で決めさせていただいておりますので
釣り座にご希望がある方はお早めに予約をお願いします。
釣り状況・海況により変更があります・・・
空席は
5
月19日
現在です
朝便:AM4:30
~13:00(4:00集合)
夜便
:
PM
15:00
~22:00(14:30集合)
予約受付中・・・早い予約の希望釣魚で決まります
*
*決まり次第掲載します*
マダラ釣行は8名まで・・3名以上で出船します
夜便ヒラメ釣行は10名まで・・2名以上で出船します
5月20日(金)朝便:メバル・マダイ(空8)
夜便
:マダイ・ヒラメ(空5)
21日(土)朝便:マダイ(空2)
夜便
:マダイ・ヒラメ(満席)
22日(日)朝便:
まだらは人数揃わず中止
マダイに変更(空5
)
夜便
:マダイ・ヒラメ(空2)
23日(月)朝便:マダイ(空7)
夜便:
マダイ・ヒラメ(空7)
24日(火)
休業日
25日(水)朝便:マダイ(空9)
夜便
:マダイ・ヒラメ(空4)
26日(木)朝便:思案中(空10)
夜便
:マダイ・ヒラメ(空7)
予約状況:5/27(金)
夜便
:マダイ・ヒラメ(空5)
5/28(土)朝便:マダイ(空3)
5/28(土)
夜便
:マダイ・ヒラメ(空6)
5/29(日)朝便:マダイ(満席)
5/30(月)朝便:
まだら
(満席)
6月の休業日は7(火)と21日(火)です。
まずはお電話ください・・・森川 090-7181-6315
2016/05/19 (Thu)
釣果
Comment(0)
28.05.18
16日夜便:マダイ・ヒラメ釣行・・近場・・風が出て早上がり
釣果(船中/2+1名)
マダイ 5尾、イナワラ 3尾
ヒラメは出来ませんでした
17日夜便:マダイ・ヒラメ釣行・・お客さんお一人
釣果(船中/1+1名)
マダイ 1尾、ヒラメ 3尾、ワラサ 1尾、
18日朝便:マダイ釣行・・お客さんお二人と・・
釣果(船中/2名)
マダイ 2尾、ワラサ 2尾、イナワラ 1尾、
2016/05/18 (Wed)
釣果
Comment(0)
28.05.16予定
15日の夜便は潮の加減か撃沈でした
当面のスケジュール
ご希望のご予約は随時お受けいたしますから、まずはお電話ください。
釣り座はご予約の順で決めさせていただいておりますので
釣り座にご希望がある方はお早めに予約をお願いします。
釣り状況・海況により変更があります・・・
空席は
5
月16日
現在です
朝便:AM4:30
~13:00(4:00集合)
夜便
:
PM
15:00
~22:00(14:30集合)
予約受付中・・・早い予約の希望釣魚で決まります
*
*決まり次第掲載します*
マダラ釣行は8名まで・・3名以上で出船します
夜便ヒラメ釣行は10名まで・・2名以上で出船します
5月17日(火)朝便:マダイ(空10)
夜便
:マダイ・ヒラメ(空10)
18日(水)朝便:マダイ(空8)
夜便
:マダイ・ヒラメ(空4)
19日(木)朝便:マダイ(空3)
夜便
:マダイ・ヒラメ(空10)
20日(金)朝便:メバル・マダイ(空8)
夜便
:マダイ・ヒラメ(空9)
21日(土)朝便:マダイ(空4)
夜便
:マダイ・ヒラメ(満席)
22日(日)朝便:
まだら
(空6)
夜便
:マダイ・ヒラメ(空7)
23日(月)朝便:マダイ(空7)
夜便:
マダイ・ヒラメ(空7)
24日(火)
休業日
25日(水)朝便:マダイ(空10)
夜便
:マダイ・ヒラメ(空4)
26日(木)朝便:思案中(空10)
夜便
:マダイ・ヒラメ(空8)
予約状況:5/27(金)
夜便
:マダイ・ヒラメ(空5)
5/28(土)朝便:マダイ(空3)
5/28(土)
夜便
:マダイ・ヒラメ(空6)
5/29(日)朝便:マダイ(満席)
5/30(月)朝便:
まだら
(満席)
6月の休業日は7(火)と21日(火)です。
まずはお電話ください・・・森川 090-7181-6315
2016/05/16 (Mon)
釣果
Comment(0)
28.05.15
14日夜便:マダイ・ヒラメ釣行・・夕方ほマダイが
良く釣れる!!
釣果(船中/8名)
マダイ 24尾、ヒラメ 13尾、ソイ 3尾、
イナワラ 16
15日朝便:メバル~マダイ釣行・・メバルはこんなもんかな、
マダイは時間不足で不十分
釣果(船中/5名)
メバル 10~20尾、53尾、マダイ1.0~5.5kg 7尾、
キクカレイ 8尾、キツネメバル 6尾、
2016/05/15 (Sun)
釣果
Comment(0)
28.05.14
13日夜便:マダイ~ヒラメ釣行・・
釣果(船中/9名)
マダイ 13尾、ヒラメ 18尾 イナワラ 10尾、
14日朝便:マダイ釣行・・胃の痛い一日だった。
釣果(船中/9名)
マダイ 0~4尾、メジナ 1尾、イシダイ 1尾、
カメラ故障にて本日は写真がありません・・
2016/05/14 (Sat)
釣果
Comment(0)
≪
│HOME│
≫
カレンダー
03
2026/04
05
S
M
T
W
T
F
S
1
2
3
4
5
6
7
8
9
10
11
12
13
14
15
16
17
18
19
20
21
22
23
24
25
26
27
28
29
30
↓初栄丸携帯サイト↓
カテゴリー
釣果 ( 1946 )
お知らせ・予定 ( 1 )
リンク
初栄丸HP
新しい記事を書く
管理画面
最新記事
海咲丸近況報告
(06/22)
ホームページの移動について
(05/27)
近況報告
(04/03)
2019年ごあいさつ
(01/02)
2019年ごあいさつ
(01/02)
カウンター
↓初栄丸釣果QR↓
気象情報
ブログ内検索
アーカイブ
2019 年 06 月 ( 1 )
2019 年 05 月 ( 1 )
2019 年 04 月 ( 1 )
2019 年 01 月 ( 2 )
2018 年 09 月 ( 5 )
忍者ブログ
[PR]