新潟県糸魚川市能生漁港釣り船・初栄丸の釣果・日記
×
[PR]上記の広告は3ヶ月以上新規記事投稿のないブログに表示されています。新しい記事を書く事で広告が消えます。
マダイ釣行・・静かな海・・潮も動かず・・
騒がしいのは餌盗りだけ・・ウマヅラ天国だ~~
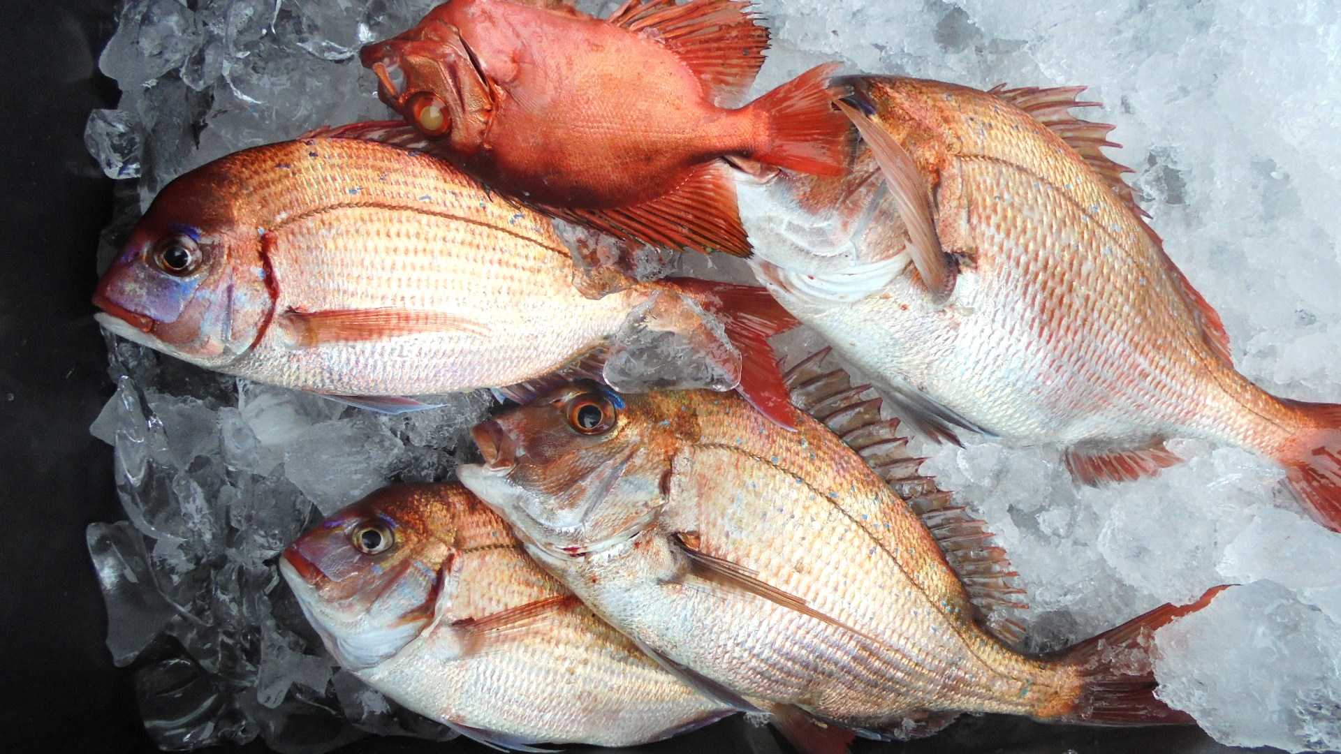
釣果(船中/3+1名)
マダイ 9尾、手の平 2尾、ウマヅラ 7尾、
イシダイ 1.3kg 1尾、

当面のスケジュール
ご希望のご予約は随時お受けいたしますから、まずはお電話ください。
釣り座はご予約の順で決めさせていただいておりますので
釣り座にご希望がある方はお早めに予約をお願いします。
釣り状況・海況により変更があります・・・
空席は3月28日現在です
朝便:AM5:30~13:30(5:00集合)
夜便:PM15:00~22:00(14:00集合)
予約受付中・・・早い予約の希望釣魚で決まります
* *決まり次第掲載します*
マダラ釣行は8名まで・・3名以上で出船します
夜便(青物回遊のきざしがあるまで控えます)
3月29日(火)朝便:マダイ(空4)
30日(水)朝便:マダイ五目(空8)
31日(木)朝便:マダイ(空8)
4月 1日(金)朝便:メバル(空8)
2日(土)朝便:マダイ(空10)
3日(日)朝便:マダイ(空6)
4日(月)朝便:マダイ(空7)
5日(火)朝便:予約受付中
6日(水)朝便:予約受付中
7日(木)朝便:予約受付中
8日(金)朝便:マダイ(空7)
9日(土)朝便:メバル(空8)
10日(日)朝便:マダイ(空10)
11日(月)朝便:予約受付中
12日(火)船舶講習のため、出船は5:00~12:00
13日(水)朝便:予約受付中
4月の休業日は24、25日です。
4月14日以降は次回掲示いたします。
まずはお電話ください・・森川 090-7181-6315
PR
