新潟県糸魚川市能生漁港釣り船・初栄丸の釣果・日記
×
[PR]上記の広告は3ヶ月以上新規記事投稿のないブログに表示されています。新しい記事を書く事で広告が消えます。
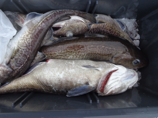
朝便:久しぶりのマダラ釣行・・沖は結構波風が有り苦戦したが、
なんとか成果をあげることができた・・ホッ
釣果(船中/6名)
マダラ 2.0~8.0kg 21尾、MAX7尾、

PR