忍者ブログ
新潟県糸魚川市能生漁港釣り船・初栄丸の釣果・日記
×

[PR]上記の広告は3ヶ月以上新規記事投稿のないブログに表示されています。新しい記事を書く事で広告が消えます。

13日夜便:今日はワラサが回って来てくれた・・
釣果(船中/5名) ワラサ 2.0~3.5kg 8尾、
マダイ1.0~1.5kg 8尾、 マダイ 2.7kg 1尾、

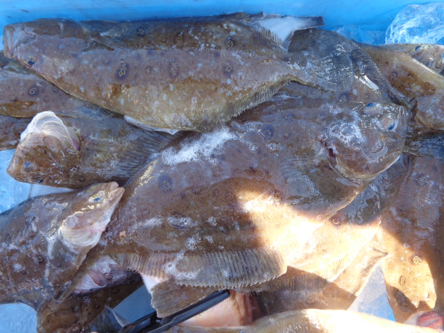
14日:朝便・メバル~キクカレイ釣行・・天気も良いし、釣果も良いし爽快な一日でした。
釣果(船中/8名) 
沖メバル 64尾、キクカレイ21~ 35尾(約190尾) イナワラ 1尾、



PR
この記事にコメントする
お名前
タイトル
文字色
メールアドレス
URL
コメント
パスワード   Vodafone絵文字 i-mode絵文字 Ezweb絵文字
カレンダー
09 2025/10 11
S M T W T F S
1 2 3 4
5 6 7 8 9 10 11
12 13 14 15 16 17 18
19 20 21 22 23 24 25
26 27 28 29 30 31
↓初栄丸携帯サイト↓

カウンター
↓初栄丸釣果QR↓
気象情報
ブログ内検索
忍者ブログ [PR]